Dos empresas generarán más de 250 empleos directos en el Polígono Industrial de Jumilla

Ayuntamiento y socios han dado a conocer el acuerdo adoptado para autorizar al Consejo de Administración a tomar las decisiones necesarias para la finalización de las obras. Se ponen a disposición más de un millón de metros de suelo industrial para facilitar la llegada de nuevos inversores

La alcaldesa de Jumilla, Juana Guardiola, y el concejal de Economía y Empleo, Juan Gil, han visitado hoy las instalaciones el Polígono Industrial de Jumilla para, junto con los otros socios del polígono, dar a conocer el acuerdo adoptado para autorizar al Consejo de Administración a tomar las decisiones necesarias para la finalización de las obras y puesta a disposición de suelo industrial.

Han estado acompañados de los representantes de la parte privada del polígono, así como de representantes de una de las empresas que han apostado por la inversión y el inicio de la actividad. José Luis Azorín, del consejo de administración del polígono, Ángel Pamies, director de Pharma Green, Carlos Noguera, CEO, Ricardo Sala, abogado de esta misma empresa y Ricardo Segura, arquitecto director de Proyesp, han informado que ya están trabajando para instalarse en este polígono, siendo su intención el crecimiento, la inversión y la creación de empleo en la localidad.

Respuesta a la demanda de suelo industrial

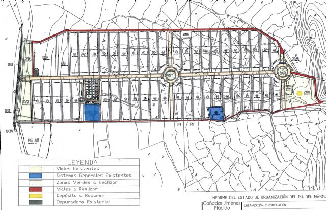
Una vez llegados al acuerdo de todos los socios del polígono, incluido el Ayuntamiento que cuenta con un 37,9%, se ponen a disposición 1.035.315 metros cuadrados de suelo industrial para facilitar la llegada de nuevas empresas, además de otros 28.000 metros de zona auxiliar. Está dividido en dos tipos de parcelas, 44 destinadas a zonas industriales principales, de unos 24.000 metros cada una, y otras 18 para actividades auxiliares de unos 1.000 metros cada una. El límite de edificabilidad de cada parcela es del 92%, por lo que se trata de espacios de buen aprovechamiento industrial.

"Estas empresas que han decidido apostar por Jumilla, son la punta de lanza del desarrollo industrial que todos queremos para nuestro municipio y que creemos que se va a lograr, con la creación de más de 250 puestos de trabajo directos en un inicio. Ya estamos trabajando con otras empresas para que en un futuro muy cercano se establezcan aquí. Los precios del suelo creemos que son referentes y atractivos para cualquier inversión pública o privada, así mismo como la ubicación y la extensión de las parcelas", han explicado la alcaldesa y el concejal de Economía.

Asimismo, han dado las gracias por su disposición a todos los socios del polígono, para conseguir junto con el Ayuntamiento, dar respuesta a la necesidad de suelo industrial con la que contaba Jumilla. "El Polígono Industrial de Jumilla tiene una situación estratégica, histórico eje de comunicación entre la zona de Levante y Andalucía, por lo que puede ser un buen punto para cualquier actividad industrial", han añadido.

El Polígono Industrial de Jumilla está ubicado en la carretera RM-714, que une Jumilla con Cieza, a 15 km. de la autovía Madrid-Cartagena. Fue creado en 1998, entonces como Polígono del Mármol, pero la urbanización quedó sin finalizar. En 2016, el Gobierno Local reanudó los contactos con los socios del mismo y tras distintas reuniones de trabajo se ha llegado a este acuerdo anunciado hoy. "Es un momento de gran satisfacción, ya que se estaba trabajando discretamente desde hace tiempo para conseguir esta buena noticia para el empleo en Jumilla", ha finalizado la alcaldesa.

Este sitio web utiliza cookies para facilitar y mejorar la navegación. Si continúas navegando, consideramos que aceptas su uso. POLITICA DE COOKIES